
Ayuntamiento de Morelia inspecciona Mercado de Abastos

30% de mujeres embarazadas son adolescentes: SEMUJER

Frentre frío no.10 ocasionará lluvias intensas en Michoacán: SMN
Pronostica SMN fuertes lluvias para Michoacán
Morelia, Mich.- Un
canal de baja presión localizado frente a las costas de Colima y
Jalisco, favorecerá la fuerte entrada de humedad hacia el occidente
y el sur de México y propiciará ... Leer más >>
Michoacán sin registro de brotes epidemiológicos por huracán "Patricia"
Morelia, Mich.- Por
instrucciones del Gobernador del Estado, Silvano Aureoles Conejo, la
Secretaría de Salud en Michoacán (SSM), continúa realizando acciones
preventivas a favor de la pobla ... Leer más >>
Trabajadores de la UNIVIM colectan víveres para afectados por el huracán "Patricia"
Morelia, Mich.- Porque
ayudar Está en Ti, trabajadores y trabajadoras de la Universidad
Virtual del Estado de Michoacán (Univim), realizaron una colecta de
víveres para las y los michoacano ... Leer más >>
Frente frío 8 ocasionará descenso de temperatura en Michoacán
Morelia, Mich.- El Servicio Meteorológico Nacional (SMN) informó que debido al frente frío no. 8ocasionará fuertes lluvias en Michoacán y provocará un descenso de temperatura ... Leer más >>
En un año, cazadores de EUA matan 745 leones africanos
Washington.- Los cazadores estadounidenses están matando un grupo muy numeroso de leones africanos para transportarlos como trofeos de caza. Sin embargo, reguladores en Estados Unidos amenazan con ... Leer más >>
Lluvia intensas en Michoacán pronostica SMN
Morelia, Mich.- El Servicio Meteorológico Nacional (SMN) pronostica que para el día de hoy en Michoacán se registrarán lluvias fuertes de 25 a 50 mm, así como en los estados de Jali ... Leer más >>
Monitorean zona de riesgo en Morelia tras sismo en costa michoacana
Morelia, Mich.- Tras el sismo que se registró a las 8:47 am en la zona costera de
Michoacán, con magnitud preliminar de 5.1 grados Richter, de acuerdo al
Centro de Alerta de Tsunamis y el cual fue p ... Leer más >>
Tembó en la costa michoacana; no se registran víctimas ni daños materiales
Morelia, Mich.- El Servicio Sismológico Nacional (SSN) informó que se registró la
mañana de este domingo un sismo de 5.0 grados de magnitud en la tenencia
de Guacamayas del municipio d ... Leer más >>
Abren circulación tras derrumbe en carretera Uruapan-Los Reyes
Uruapan, Mich.- Por
instrucciones del Gobernador Silvano Aureoles Conejo, José Juan
Domínguez López, titular de la Secretaría de Comunicaciones y Obras
Públicas del Estado, en ... Leer más >>
Inicia la V Feria Nacional de la Catrina en Capula
Capula, Mich.- La Quinta Edición de la Feria Nacional Artesanal y Cultural de la
Catrina de Capula, abre sus puertas este sábado, por lo que miles de
personas podrán admirar el talento de lo ... Leer más >>
Preparan en III Festival del Chapulín en Morelia
Morelia, Mich.- El Ayuntamiento de Morelia que encabeza el Alcalde, Alfonso Martínez
Alcázar y el Consejo Ciudadano, afinan detalles para el Tercer Festival
del Chapulín a realizarse en esta ... Leer más >>
Patricia afecta servicios de TELMEX en al menos 29 localidades
Morelia, Mich.- Teléfonos de México (Telmex) informó que tras el arribo del huracán
registró afectación de servicios, esencialmente de datos y en menor
medida de voz, en ... Leer más >>
´Patricia´ se degrada, es tormenta tropical
Morelia, Mich.- El coordinador nacional de Protección Civil, Luis Felipe Puente
Espinosa, informó esta mañana que Patricia se degradó a tormenta
tropical y avanza con vientos de 80 kil ... Leer más >>
Abre CMIC centro de acopio para damnificados por "Patricia"
Morelia, Mich.- Ante la
llegada del huracán Patricia que ha presentado afectaciones en tierras
michoacanas, la Cámara Mexicana de la Industria de la Construcción (CMIC),
abrió en sus in ... Leer más >>
En Michoacán, listos 33 albergues para atender damnificados por "Patricia"
Morelia, Mich.- El
Gobernador de Michoacán, Silvano Aureoles Conejo, instaló el
Comité Estatal de Protección Civil, y se declaró en alerta permanente
ante las contingencias ge ... Leer más >>
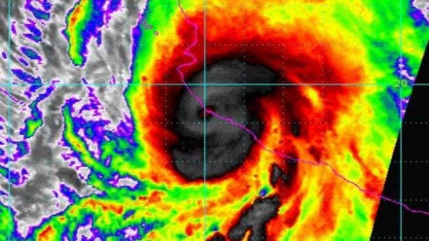
Ojo de "Patricia" toca tierra con un diámetro de 10 km
Morelia, Mich.- El ojo del huracán "Patricia" tocó tierra en el Pacífico
mexicano la tarde del viernes con categoría 5, que implica destructivos
vientos y descargando torrenciales lluv ... Leer más >>
